A Tree Inside a Tree

Scattered across the ground, are heaps of branch tips of big leaf maples that broke off during the ice storm. I picked one up and admired its shape, color, and texture. I sat down, did a brief sketch of it, and continued to admire its beauty. Afterward, I cut a cross-section to see what it looked like inside. To my surprise, I found a small tree enshrined in a kind of mandorla. (In Italian it means almond. In religious art, it’s the almond-shaped aureole of light surrounding the entire figure of a holy person like the Virgin Mary.)

Nature is an inexhaustible source of wonder. I look forward to seeing you out there.

Canopy Opens

Last fall or winter (maybe it was two years ago), an old Bigleaf Maple tree split in half. The tree forked near the base and had become rotten inside. Half of it is still standing and being propped up by other trees. The other half was leaning towards the trail, so for safety, the arboretum cut it down. This opened up the canopy allowing the sun to reach into the forest that was mostly in the shade. As a result, numerous sprouts have started to emerge from the trunks of these Bigleaf Maples that were growing next to the Grandmother maple. It will be interesting to see how these new shoots develop and the landscape fills back in over the next 20 or 30 years.

Favorite Tree

Every time I go out to the arboretum, I remind myself to slow down and take my time. I often begin by sitting on a bench, tuning into my senses, and letting go of all the busyness in my life. I hear chickadees calling, crickets singing, and leaves rustling. I feel the warmth of the sun and the wind brushing against me. I smell the dampness of recent rains and leaves starting to decay. I taste some ripe blackberries. I see insects buzzing in the air, and squirrels climbing through the trees. There are so many discoveries to be made in nature and it is more likely to happen if I start this way.

After sitting for a little while, I took a walk out to my favorite tree. It has so many beautiful forms, patterns, colors, and textures to behold and experience. It stands upright and its canopy is open and spacious.

The needles are long, soft, and green. They radiate outwards forming wispy brooms that sweep back and forth in the wind. The old needles turn orange and are scattered in a loose mat underneath the tree.

There are old cones still attached to the tree. They are gray and small bits of lichen are scattered across their surfaces. The scales are still nestled together at the base forming a beautiful pattern. Some old cones have partially detached leaving behind barnacled florets. The new cones have opened in the warm, summer sun. Their copper-colored bodies develop into a bouquet of arching scales. Red-breasted Nuthatches visit the cones looking for seeds to eat or cache for later.

Its catkins are tubular and dry a papery, reddish-brown.

The tree produces a sticky sap that always manages to find its way onto my body or clothes somewhere. It has a cool, sharp scent that feels refreshing.

The bark of the trunk is layered with flakes creating a furrowed, craggy landscape. It has a warm, sweet smell. The bark on the young limbs is reminiscent of a snake’s skin.

It has a gentle song and a peaceful dance as it sways in the wind.

There is so much to learn, notice, and experience with this tree. It can live to over 500 years old. This is only the beginning of its life. I will only get to know it and be friends for such a brief time.

Inosculation

Inosculation is a natural phenomenon in which trunks, branches, or roots of two trees grow together. This event usually occurs between trees of the same species but can also happen between trees of different species.

In the first photo to the right, you can see what looks like a clump of oak trees. This photo shows two limbs or trunks of this cluster fusing together. There are many examples out at the arboretum where there are multiple trunks of an oak tree that are joined at the base. I haven’t been walking around the arboretum over the past hundred years to watch all of these trees grow, but I imagine that a small cache of acorns sprouted, grew up together, and literally grew together.

In the next three photos, there is an example of two different species. I have walked past this Oregon oak tree and Douglas-fir many times. The other day I noticed that they appear to have grown together at the base. They look to be about the same size so they probably sprouted at the same time. This pair is just past the barn on the left. The Douglas-fir winds up through the canopy of the oak tree and has an interesting wavy trunk. Both of their canopies lovingly intertwine with each other.

The word inosculation is derived from the Latin word osculum, which translates as “to kiss.” I recommend reading the biology behind how inosculation works. In a nutshell, it is about the bark layers coming in contact with each other, especially the cambium layer which is the tissue responsible for growth. The bark layers wear away and can come in contact with each other as they slightly rub together from the movement of the wind. My understanding is that it also happens through the pressure of trees growing into each other as they expand. The two touching parts can be two branches, two trunks, or a branch to a trunk. It can happen between roots too. To me, it essentially sounds like grafting trees together which is done all the time with fruit trees.

Oregon White Oak - New Acorns

Well… I remember reading that the male and female flowers are separate inflorescences. The male flowers are hanging catkins and the female flowers are single or in small clusters. I have photos of the male catkins, wanted to take a photo of the female flowers, and I forgot to do it this year. So I have to start creating a calendar of all the photos I want to take for next year so I don’t miss them again.

Anyways, these beautiful new acorns are forming, and I wanted to share them with you. I am on the hunt for acorn weevils so stay tuned for more about acorns.

Foliar Marcescence

In autumn, deciduous trees will shed their leaves. This process is known as leaf abscission. Curiously, out at the arboretum, there are a few oak trees that still have the copper-brown leaves from last autumn. Why aren’t the leaves falling off the tree?

The process of holding onto to the leaves through the winter is known as foliar marcescence. From what I have read, this phenomenon is seen in trees like oaks, American beech, hornbeams, and witchhazels.

How this happens is understood—the leaf hasn’t formed an abscission layer at the base of the leaf petiole allowing the leaf detach. Why this happens is a bit of a mystery. The leading theory is that the dead leaves are not palatable or nutritious so they protect the leaf buds from browsing mammals, like the black-tailed deer that live at the arboretum. In addition, rummaging around dry, noisy leaves could potentially alert nearby predators. Another theory is that delaying the leaf drop until spring provides a fresh layer of leaf mulch around the base of the tree.

Leaf marcescence is usually seen on small, younger trees or on the bottom limbs of mature trees. I found examples of both occurrences at the arboretum. Another interesting part of this story, which I have yet to read about, is that I saw leaves on the tree that were older than last year. There were layers of gray, decaying leaves on the limbs, and some had a substantial amount of lichen growing on them. Those have to be leaves from at least the year before last.

There are so many mysteries in the world, even in our own backyards.

Resources
Feb 13, 2019 | Print. “Winter Leaf Marcescence.” Home & Garden Information Center | Clemson University, South Carolina, https://hgic.clemson.edu/winter-leaf-marcescence/. Accessed 11 Mar. 2023.

“The Mystery of Marcescence.” Tennessee State Parks, https://tnstateparks.com/blog/the-mystery-of-marcescence. Accessed 11 Mar. 2023.

Steller's Jay & California Bay Laurel

Last weekend I heard the familiar sound of Steller’s Jays squawking, and I went over to have a look. I saw them hopping on the ground and through the limbs of the bay tree out by the barn. Not long after I arrived on the scene, one flew off with one of the green fruits of the tree. It flew down to the ground, buried the fruit, and quickly returned for another one. Another jay had found one on the ground and had managed to extract the seed from inside. It was on a lower limb breaking off bits and eating them. They were mostly gathering the fruit and flying away to cache them. There are quite a few trees that have sprouted up nearby from ones that weren’t retrieved. Steller’s Jays stash many seeds throughout the year and it seems highly possible that they would forget where they buried some of them. Also, if the jay should die sometime during the winter, the unrecovered, buried seeds could sprout thus dispersing the plant.

Burnt Orange

There is a small grove of coastal redwoods at the arboretum. Underneath them, there is a small bench. I decided to sit on the bench to relax and let go of the busyness of the day. While sitting there, small branches occasionally fell out of the tree and landed on the bench. The vibrancy of the rich, burnt orange color of one of them caught my attention. While enjoying its color, I became fascinated by the shape and texture of the needles—narrow, pointed, and smooth. It was interesting to see the manner in which they were wrapped around a stem that must be underneath. It created such a beautiful pattern.

I put the small branch down on the bench. When I looked back at it a few minutes later, a small jumping spider had crawled up on it and was watching me. It was remarkable to see how its coloration matched the dead needles. I was reminded that there are so many wonders to behold in nature if I sit and take the time to slow down so that I can notice them.

Black Hawthorn Berries

The black hawthorn berries are ripening, and some of my feathered friends are there to start gobbling them up. I sat in the shade nearby for about an hour and saw cedar waxwings, robins, chickadees, and a scrub jay. The robins and cedar waxwings ate them whole. The chickadees would hang onto the cluster and eat them. The scrub jay plucked the berry and flew off with it to eat it elsewhere.

The black hawthorn is in the rose family and the berries are edible. I tried one, and it reminded me of eating a rose hip or a mealy apple. There were 4 seeds inside that were most of the berry. There was only a little fleshy part surrounding the seeds. Maybe they are not quite ready to eat. Birds tend to eat certain berries before they have fully ripened.

Radiant Green Needles

From the end of the Douglas fir branches, luminescent, green needles are emerging. Their incandescence was warming as I walked around in the cool rain. They seemed like tiny fireworks bursting forth in celebration of the life-giving rains of spring.

Hues of Evergreen

Standing out in the south meadow looking back at the hillside, I can differentiate between the two species of evergreen trees growing in the forest. The incense cedar has a yellow-green hue to it at the moment because it is covered with small, yellow cones that are releasing pollen. The other one is the Douglas-fir.

Tree Rings

A tree fell across a path at the arboretum during the recent snow storm. They cut the tree to clear the path which revealed its rings. I am reading a book about forests and thought that you would be interested in the following excerpt from the book.

“For all its size and vitality, for all its impressive thickening from year to year, most of the tissue of a tree trunk does not and cannot grow, once it has been formed. The tissue that adds to a tree’s size is confined to a microscopically thin layer, the cambium… As the cambium cells divide, the tree grows in diameter. The new cells formed toward the inside of the tree become wood, or xylem, and the cells on the outside become a layer called the phloem. Cells produced in the spring growing season are usually much larger than those produced in the summer. The small size and density of the summer cells make them look dark. It is the alternation of the dark summer wood with the lighter-colored spring wood of the following year which produces the rings in trees.”

Farb, Peter and The Editors of LIFE. LIFE Nature Library: The Forest. New York, Time Incorporated, 1961.

Black Knot Fungus

When the deciduous trees lose their leaves for the winter, the life that was slightly obscured and perhaps overlooked can become more easily seen as the landscape becomes more open.

On the left-hand side of the main trail, as it winds between the wetlands and the river, black knot fungus can be seen infecting many of the small trees of the understory.

The bumpy, black growths that grow along stems and trunks are called galls. The growth of these galls is stimulated by the release of chemicals from the fungus that makes the tree grow abnormal plant cells. After the first year, the galls appear velvety, olive green. After the second year, they reach maturity and turn knobby, rough, and black. The spores will overwinter and release the following spring.

Black knot fungus can be tolerated by many trees without negatively affecting the health of the tree. On the other hand, these fungal galls often cause damage by cracking open branches or the trunk of the tree. This makes it susceptible to wood rot fungi or other maladies.

Black knot is a fairly common disease of trees in the genus Prunus, which includes many fruits such as plums, cherries, peaches, nectarines, and apricots. There is a nonnative cherry tree that has spread throughout the arboretum. I guess that many of the infected trees I see out in the wetlands area are these cherry trees.

Woodland Seascapes

It’s a rainy day. Looking for a little shelter, I sit down underneath a Douglas-fir tree. Its bark is a cascade of craggy steps and cliffs. It is reminiscent of a molten past that is now cooled and solidified.

Droplets are softly falling as the rain slowly filters through the dense tree canopy. The base of the tree flares out slightly and catches the moisture. As the water flows down this gentle slope, an abundance of life is growing. Magical creatures are forming a miniature seascape that is a mosaic of shapes, colors, and textures.

Captivated by these beautiful lifeforms, I realize that it is impossible to comprehend the complexity of life woven into and around the life of a Douglas-fir tree. Its lifecycle can span more than a millennium. It can live to be from 500 to 1000 years old, and it can then take another 400 years for it to decompose. May we someday once again set aside space for these fellow beings to fulfill their lives and create majestic, hallowed forests.

Oregon Ash

Oregon Ash trees are a beautiful mess. Lounging in its shade in the summer, all seems to be in order with its full, lush canopy. As the leaves fall off and its branches are revealed, I am left wondering, “What the heck has happened to this tree?”

As this tree matures, its shape usually becomes perfectly disordered. The forces of nature love to sculpt Oregon ash trees into a magnificent structure of tangled branches, a meandering trunk, dead limbs, and numerous cavities. Thus, you don’t really see this tree being used in a planned landscape in the city or around someone’s home.

This past bird breeding season I tracked the location of many nests. Along the river path that begins at the White Oak Pavilion, the trail is lined with Oregon ash trees. Nearly every one of them has a natural cavity somewhere along its trunk, and most of them had a cavity-nesting bird using it—European starlings, northern flickers, white-breasted nuthatches, and Bewick’s wrens. In the branches of the tree, there were robins, mourning doves, cedar waxwings, and Bullock’s orioles.

Even though it doesn’t have the majestic shape of the Oregon white oak, the incense cedar, or the Douglas fir, the Oregon ash is an unsung hero.

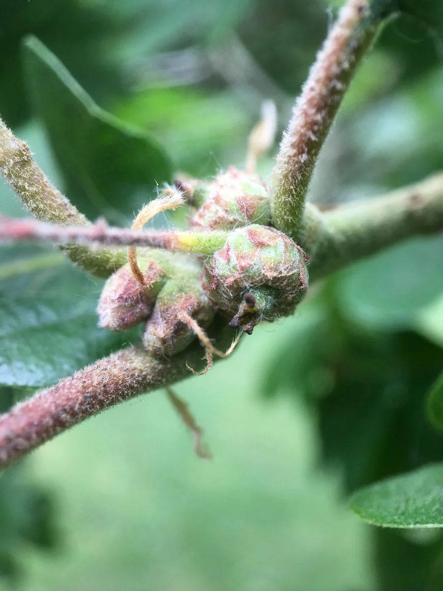
Bigleaf Maple Blooming

Bigleaf maple has small yellow-green flowers in clusters that will hang like pendants as they emerge. These flowers are a great nectar and pollen source for insects. As I took these photos, the blossoms were buzzing with activity. I’m sure this sugary food source is fueling the whirring, murmuring “hum” of hummingbirds as well.

Beekeepers in the area are always happy to see good weather accompany the bigleaf maple bloom, because of the nectar-flow these flowers provide in early spring. Occasionally I will see honey made from this nectar for sale. I think it has a peach flavor which I find quite tasty.

Bigleaf Maple Flowers (Acer Macrophyllum)

Douglas-fir seeds

This Douglas-fir tree laden with cones was a frenzy of activity yesterday. Black-capped chickadees, chestnut-backed chickadees, pine siskins and red-breasted nuthatches were busily harvesting the seeds in the warmth of the late afternoon sun. The chickadees and nuthatches seemed more interested in stashing the seeds, while the pine siskins were eating them.

It is interesting to note how long the seeds stay in the cones once they are mature. It seems like the tree is holding onto to them as a food resource for animals for the winter. Likewise, as the birds were foraging, many of the seeds were dislodged and were whirling through the air to the ground. It’s as if the birds were sowing seeds for future generations. The woody cones are well designed to protect the seeds from the weather. I investigated some seeds that fell to the ground, and they were in excellent condition.

Incense-cedar Pollen

As I was walking around today, I noticed the ground scattered with small, amber cones under the incense-cedar. I lightly poked a group of them on the tree, and a wispy curtain of fine dust floated into the air. The male cones of the incense-cedar tree are starting to release their pollen! It is interesting that certain trees will pollinate in the wintertime.

The female cones will develop from the ends of the previous year’s growth. At the moment, I was unable to determine from where they might spring forth.

Note: The cones are 4 - 7 mm, which is only around a quarter of an inch long.